Map Washington Dc Airports
Map Washington Dc Airports – Find out the location of Washington Dulles International Airport on United States map and also find out airports near to Washington, DC. This airport locator is a very useful tool for travelers to . Find out the location of Ronald Reagan Washington National Airport on United States map and also find out airports near to Washington, DC. This airport locator is a very useful tool for travelers to .
Map Washington Dc Airports
Source : www.washington-dca.airports-guides.com
Airport Terminal Map washington dc airport map.
Source : www.aviationexplorer.com
2003 World Fantasy Convention Transportation
Source : www.seahunt.org
Reagan National Airport Airport Maps Maps and Directions to
Source : www.worldairportguides.com
DC Airport Transportation
Source : automotiveluxury.com
Dulles International Airport Map | United Airlines
Source : www.united.com
A Guide to Airports Near Washington, D.C. | Washington dc airports
Source : www.pinterest.com
Washington DC Map Google My Maps
Source : www.google.com
Stuart Jow (stuartjow) Profile | Pinterest
Source : www.pinterest.com
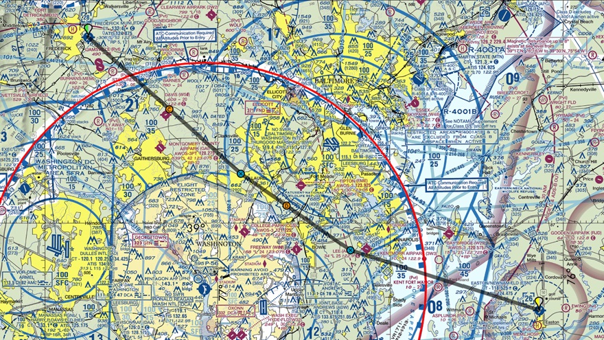
Threading the needle between Baltimore and Washington AOPA
Source : www.aopa.org
Map Washington Dc Airports Map of Ronald Reagan Washington National Airport (DCA : Delays and cancelations are creating chaos for travelers going through Dulles International and Reagan National airports. . After a record 729 days without snowfall totaling an inch or more, the Washington, D.C., area finally broke its snow drought โ spectacularly. .








